Reklama
Ulica przy Biedronce w Śliwicach zyskała nazwę
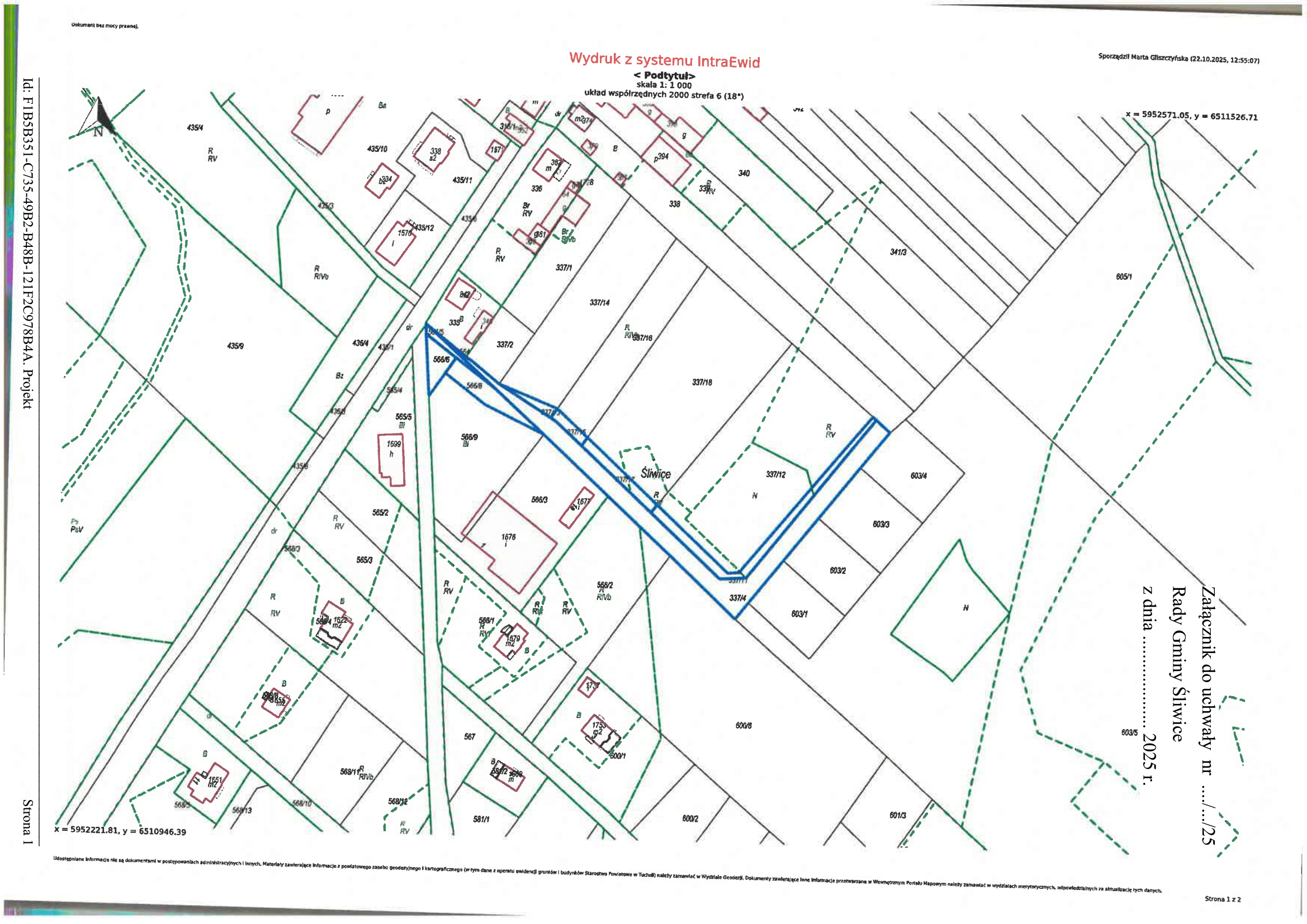
Gruntowa droga zlokalizowana w rejonie marketu Biedronka w Śliwicach oficjalnie zyska nazwę. Decyzją Rady Gminy Śliwice, podjętą podczas sesji 18 grudnia 2025 roku, nowa ulica będzie nosić nazwę Bukowa. Uchwałę przyjęto jednogłośnie.
- Myślę, że jak ta nazwa przejdzie, to tam na pewno będą rosły buki - mówił podczas sesji rady gminy wójt gminy Śliwice Daniel Kożuch, uzasadniając propozycję nadania nowej ulicy nazwy Bukowa. Jak podkreślał, teren ten charakteryzuje się wilgotnym, gliniastym gruntem, co sprzyja rozwojowi tego typu drzew i dobrze koresponduje z planowanym zagospodarowaniem przestrzeni.
Rada Gminy Śliwice jednogłośnie przyjęła uchwałę w sprawie nadania nazwy drodze publicznej położonej w obrębie geodezyjnym Śliwice, obejmującej działki o numerach: 564, 337/4, 566/5, 566/8, 566/6, 337/11, 337/13, 337/15 oraz 337/17. Dotychczas droga ta miała charakter gruntowy i nie posiadała oficjalnej nazwy.
Nadanie nazwy ulicy jest związane z rozwojem tej części miejscowości. W bezpośrednim sąsiedztwie realizowana jest inwestycja polegająca na budowie obiektów mieszkalnych, co wiąże się z koniecznością rozbudowy infrastruktury drogowej oraz uporządkowania układu komunikacyjnego.
Wójt poinformował również, że na tym terenie rozpoczęto już inwestycję drogową. W ramach zadania powstanie około 300 metrów nowej drogi, wyposażonej w kanalizację deszczową, oświetlenie uliczne oraz chodniki. Środki finansowe na realizację przedsięwzięcia zostały wcześniej pozyskane, prace rozpoczęły się w 2025 roku, a ich zakończenie planowane jest w tym roku. Inwestycję realizuje firma Solo Duo.
W załączniku znajduje się uchwała.


